Terreno
Centro, São Gonçalo
- 600 m2
- -
- -
IPTU: R$ 0,00 - condomínio: R$ 0,00
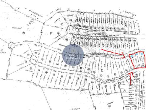
Excelente terreno à venda com 3 lotes em Maria Paula – São Gonçalo (RJ), ideal para investidores, construtores ou empreendedores que buscam um espaço amplo e bem localizado para desenvolvimento de projetos comerciais, industriais ou de uso misto. O imóvel conta com 1.847 m² de área total, distribuídos em três lotes, o que oferece maior flexibilidade para implantação de diferentes tipos de empreendimentos, como galpões, prédios comerciais, centros de serviços, estacionamento, depósitos ou até mesmo projetos voltados para locação futura.
Localizado no bairro Maria Paula, o terreno está em uma região estratégica, com fácil acesso às principais vias que conectam São Gonçalo a Niterói e demais cidades da região metropolitana, favorecendo a logística, o fluxo de veículos e a visibilidade do empreendimento. A área apresenta potencial de valorização devido ao crescimento da região e à demanda por espaços comerciais e operacionais em locais com boa infraestrutura urbana.
A metragem generosa permite planejamento arquitetônico eficiente, possibilitando aproveitamento inteligente do espaço conforme as necessidades do projeto. Seja para construção imediata ou investimento a médio e longo prazo, este terreno representa uma excelente oportunidade para quem busca segurança, versatilidade e retorno financeiro.
Ressalta-se que o portal Chaves na Mão atua apenas como plataforma de divulgação de anúncios imobiliários, sendo responsabilidade do interessado verificar junto ao anunciante todas as informações referentes à documentação, zoneamento, condições de venda e demais detalhes legais antes de firmar qualquer compromisso.
Ver localização aproximada
VER IMÓVEL NO MAPA* Valores podem ser alterados sem aviso prévio. Informações, metragens sujeitos a confirmações. Crédito/ financiamento dependem de aprovação.
** Quantidade de suítes já inclusa no número de dormitórios.
Imobiliária Santa Barbara - trabalhamos com venda, locação de imóveis, avaliação e assessoria juridica, ligue agora mesmo ou agende uma visita.
Utilizamos cookies originais e de terceiros para melhorarmos a sua experiência nesse site e compreendermos a forma como os ulizadores interagem com o nosso conteúdo e publicidade
Mais informações!